Bodega Comercial en Renta en Blvd. Valsequillo esquina con Periferico Ecologico, San Francisco Totimehuacan

Compartir via: Descargar PDF

Renta

$ 55,000 MXN


San Francisco Totimehuacan, Puebla, Pue., México

Bodega Comercial de 490 m2 con andén y 750 m2 de estacionamiento en construcción.  

Contará con Fosa Septica y Cisterna de 17,000 litros, con pipa.
Altura entre 7 y 8 metros.
Contará con oficina de dos niveles de 42 m2 cada nivel, con baño coda uno.
Uso de suelo comercial.
Acceso para trailers.
Se entrega con luz de 110 volts para oficinas e iluminacion dentro de la bodega.

Contrato a 5 años.
Precio de Poliza Jurídica de $27,500.00 M.N. (50% Arrendatario, es decir, $13,750.00 M.N.)

PRECIO TOTAL DE RENTA: $55,000.00 M.N. + IVA

*Fecha de Entrega: 15 de Febrero de 2026

Precio y Disponibilidad sujetos a cambios sin previo aviso.


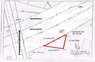
1,225.73
m2 Terreno
481.92
m2 Construcción
41.31
m. Frente

bodega
renta
blvd
valsequillo
renta
periferico
ecologico
san
francisco
totimehuacan
Contacto